Innovative 3D Data Collection in Reservoirs Using Multibeam Echosounder
Hydro-Tech, a leading provider of underwater and hydrographic survey technology for unmanned surface vehicles (USVs), has published a detailed case study showcasing the capabilities of its MS400 multibeam echosounder in assessing the Longyangxia Reservoir.
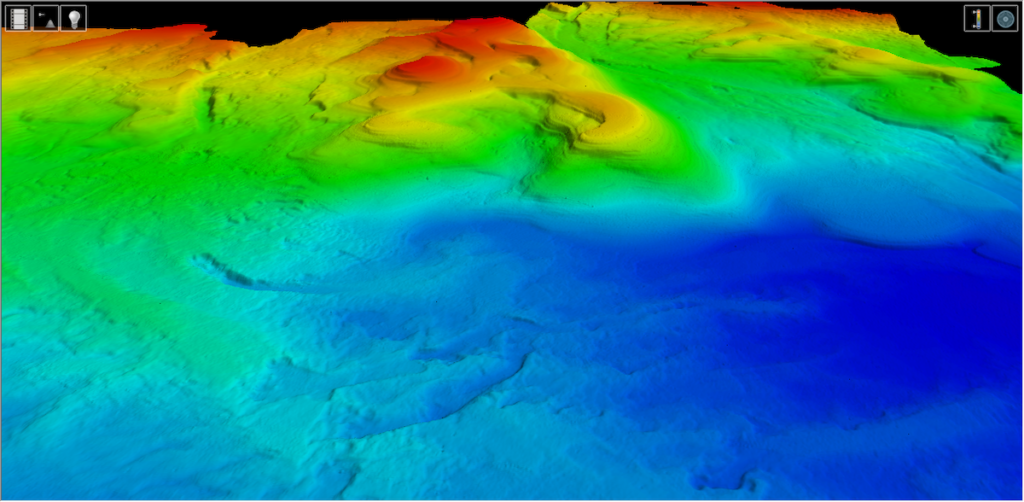
Precision in Underwater Terrain Mapping
The MS400 successfully gathered precise three-dimensional data of the underwater landscape, focusing on areas affected by scour within the Longyangxia Reservoir.This initiative, launched in 2017, aimed to enhance the detection of sediment movement and deposition while validating the effectiveness of the MS400 system in expansive water bodies.
Features of the MS400
MS400
According to Hydro-Tech, the MS400 is designed for ease of use, with operational complexity comparable to that of a single-beam system. This makes it particularly suitable for mobile surveys in environments like rivers and reservoirs. the user-friendly nature of the MS400 is attributed to its cohesive design and integrated software solutions.
Exceptional Performance and Accuracy
Hydro-Tech reports that the data density and accuracy achieved during the study surpassed the expectations of the collaborating organizations. Experts involved in the project commended the MS400’s performance and the quality of the bathymetric data collected from the Longyangxia Reservoir.
Furthermore, when the MS400 was compared to top-tier imported multibeam systems, the findings indicated that the accuracy and efficiency of underwater terrain measurements were on par, with detailed representations of critical locations clearly captured.
Insights from the case Study
The Hydro-Tech case study delves into several key areas:
- Survey Execution
- project Outcomes
- Summary of Findings
Explore the complete case study here >>
